Web Stories
Furacão Milton se aproxima da Flórida e moradores esvaziam supermercados. Veja vídeo
GRUPO DE TEATRO DE IMBÉ FARÁ APRESENTAÇÃO NO THEATRO SÃO PEDRO
MAIS DE 70% DAS RUAS DA CIDADE DE IMBÉ JÁ RECEBERAM ILUMINAÇÃO DE LED
Brasil pode ter nos próximos dias a semana mais chuvosa em seis meses
Oktoberfest de Igrejinha começa sexta (11). Ana Castela fecha o evento no dia 20
Vem aí, a 5ª edição do Maratorres, maior maratona esportiva do Rio Grande do Sul
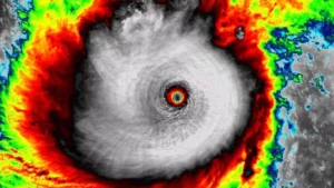
FURACÃO MILTON É UM DOS MAIS INTENSOS DA HISTÓRIA DO ATLÂNTICO. ASSISTA O VÍDEO
Rio Grande do Sul deve ter céu nublado nesta Terça-feira
16ª Feira do Livro começa em Capão da Canoa! ✨📚
Segunda edição do Trilha Bike Choop acontece no Morro da Borússia em outubro
«
568
569
570
571
572
573
574
»